Обяви За нас Контакти
Продава ПАРЦЕЛ
област Варна, с. Изгрев
99 000 €
193 627.17 лв.

(33 €, 64.54 лв./m2)
Не се начислява ДДС
История на цената
Коригирана в 6:49 на 10 ноември, 2025 год.
Обявата е посетена 36 пъти.
Площ:
3000 m2
Регулация:
ДА
Ток:
ДА
Вода:
ДА

Описание на имота:


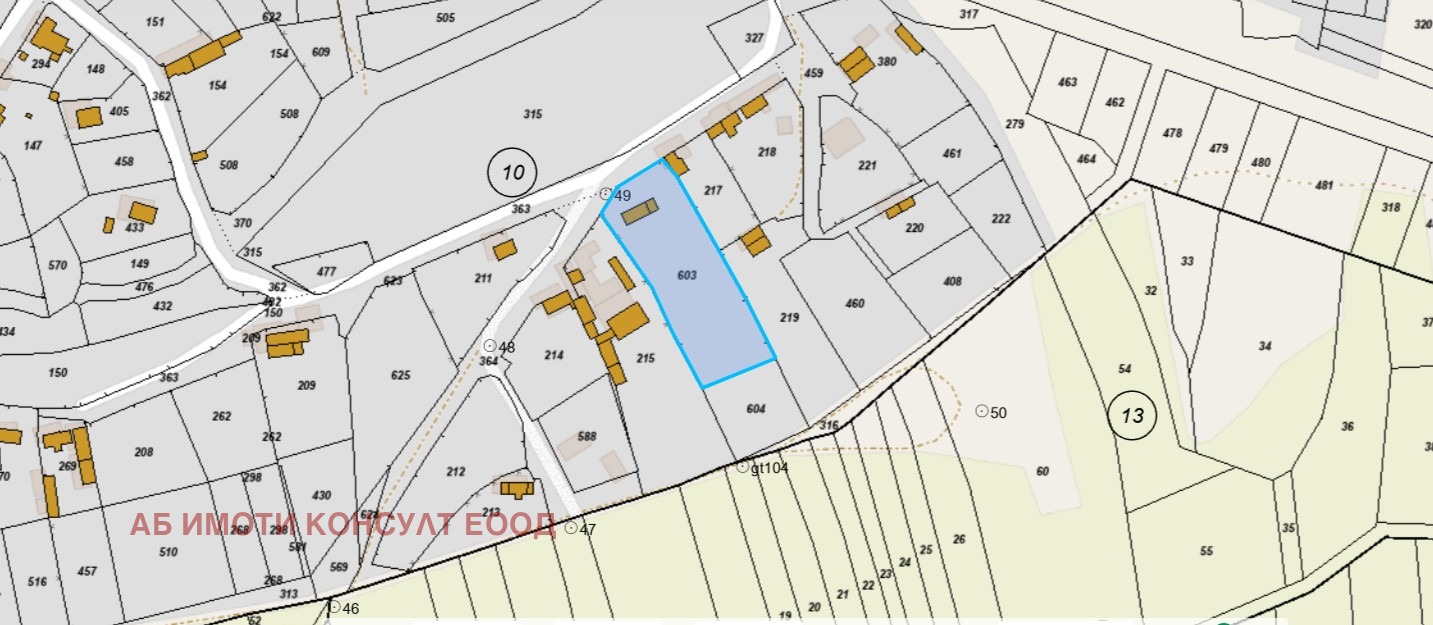
АБ ИМОТИ КОНСУЛТ продава ексклузивно УПИ в с. Изгрев, в началото на селото идвайки от Варна.
В имота има стара къща. Лице 33 м.

Парцелът е подходящ за една или повече къщи. Също е удобен за поставяне на фотоволтаици. Разстояние до трафопост 250 м.

За контакт Стефанов 0898421912, Ангелова 0898421912
Виж всички обяви в abconsult.bazar.bg или тук
Особености
За жил.строителство
За контакт:
0898421912
Брокер:
Анелия Ангелова
0898421912
Още оферти от брокера: Продава | Дава под наем | Купува | Наема
Агенция:
АБ ИМОТИ КОНСУЛТ ЕООД
0898421912
АБ ИМОТИ КОНСУЛТ ЕООД logo
Медал за прослужено време
В imot.bg от 2008 г.
abconsult.imot.bg
Адрес:
област София, гр. София, гр. София, ул. Шар планина 59-63 партер
ИЗПРАТИ ЗАПИТВАНЕ
ИЗПРАТИ ЗАПИТВАНЕТО

Продава ПАРЦЕЛ
област Варна, с. Изгрев
Обява: 1r175466637159059

99 000 €
193 627.17 лв.
История на цената
(33 €, 64.54 лв./m2)

Не се начислява ДДС
ЗАПАЗИ ОБЯВАТА

Местоположение: област Варна, с. Изгрев